マスダチビヒラタドロムシ

Malacopsephenoides japonicus (Masuda, 1935)

Psephenoides japonicus Masuda, 1935(原記載)
Psephenoides japonicus: 中根(1963),Sato (1976), 佐藤(1985b),吉富・佐藤(2003),Jach et al. (2006)
Malacopsephenoides japonicus: Jeng et al. (2006).

基準産地.京都.

形態的特徴.
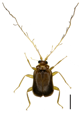
 成虫の体長は2.0-2.4 mm(佐藤,1985b).体は柔らかく華奢.全体に薄い黄褐色を帯び,金属光沢を完全に欠いている.雄の触角は非常に長く,枝ヒゲ状で各節の分枝は細い.雌は雄に比べて体幅が大きく,触角は短い.
 蛹は6対の長い気管鰓をもち,先端は細かく分岐する.
 幼虫は円形で鮮やかな色彩の個体も多い.腹部第1節から7節に側板があり,第8・9節は側片を欠く.腹部背板第9節は三角形で,先端からハケ状の鰓を露出する.本種の幼虫は桝田(1935)によって記載されている.
 卵は未確認.

生態.島根県での観察では,成虫・幼虫共に小型のため目立たないが,河川の中・下流域に広く分布している.成虫の出現期は5月から8月までと長い.成虫は明らかな夜行性で,雄は水面上に出たレキの表面を活発に走り回り,雌を探して交尾をする.また,灯火にもよく飛来する.幼虫はレキ質の河川に生息し,レキの表面に付着している.蛹化は水中で行われる.
分布.本州,四国,九州.小型で目立たないが,少なくとも関東以西では普通種である.

備考.本種は長くPsephenoides属として扱われてきたが,Jeng et al. (2006)により創設された新属Malacopsephenoidesの模式種とされた.

成虫(オス)

成虫(メス)

幼虫


ヒラタドロムシ図鑑トップへ戻る