ハネカクシ科 Staphylinidae

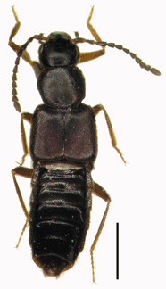
Medon prolixus (Sharp)

 和名はありません。島根半島では、主に礫浜の波打ち際に生息していますが、砂浜でもみつかっています。



ツヤウミベハネカクシPhilonthus nudus Sharp

 砂浜に生息しています。主に漂着した海藻の下に潜んでいます。ウミベアカバハネカクシに似ていますが、頭部と前胸背板の光沢が強いことと、粗い点刻があることで識別できます。上翅が赤い個体と黒い個体がいます。



アバタウミベハネカクシCafius vestitus (Sharp)

 砂浜に生息しています。主に漂着した海藻の下に潜んでいます。頭部と前胸背板に粗い点刻があります。また、中央部に平滑な部分がありますが、それ以外の部分はつや消しになっています。


ホソアバタウミベハネカクシCafius histrio (Sharp)

 島根半島では、主に礫浜の波打ち際に生息していますが、砂浜でもみつかっています。アバタウミベハネカクシやヒメアバタウミベハネカクシに似ていますが、頭部の点刻で区別することができます。

 



ヒメアバタウミベハネカクシCafius mimulus (Sharp)

 島根半島では、主に礫浜の波打ち際に生息しています。アバタウミベハネカクシやホソアバタウミベハネカクシに似ていますが、頭部の点刻で区別することができます。



アカウミベハネカクシCafius rufescens (Sharp)

 砂浜に生息するハネカクシで、漂着した海藻の下に潜んでいます。汽水域の浜にも生息しています。全体に色が赤いのが特徴です。


ホソウミベハネカクシCafius algarum Sharp

 主に砂浜に生息しているハネカクシです。アバタウミベハネカクシ類に似ていますが、かなり小型です。



ウミベアカバハネカクシPhucobius simulator Sharp

 砂浜に生息しています。主に漂着したヨシや海藻の下に潜んでいます。汽水域の浜にもたくさん生息しています。上翅が赤く、あまり光沢がないことが特徴です。



カタモンハネカクシLiusus hilleri (Weise)

 山陰の海岸に生息する海岸性ハネカクシの中では最大級の種です。上翅は全体に赤く、基部の内側に黒い部分があります。



ツヤケシヒゲブトハネカクシAleochara fucicola Sharp

 砂浜と礫浜の両方に生息しています。フトツヤケシヒゲブトハネカクシに似ていますが、頭と前胸背板の大きさの比率で区別できます。



フトツヤケシヒゲブトハネカクシAleochara squalithorax Sharp

 砂浜に生息するハネカクシで、漂着した海藻の下に潜んでいます。体の表面がざらざらしています。上翅が赤いものと、黒いものがいます。



ホソセスジヒゲブトハネカクシAleochara trisulcata Weise

 砂浜に生息するハネカクシで、漂着した海藻の下に潜んでいます。ツヤケシヒゲブトハネカクシやフトツヤケシヒゲブトハネカクシと大きさがほぼ同じです。前胸背板に点刻と溝があるのが特徴です。



ウシオヒメハネカクシAdota ushio (Sawada)

 砂浜に生息するとても小さなハネカクシです。砂浜に漂着した海藻の下から小さなハネカクシが出てきたら、この種である可能性が高いです。しかし海岸に生息するヒメハネカクシの仲間は同定が非常に難しいので注意する必要があります。



ホソナギサハネカクシBryothinusa minuta (Sawada)

 島根半島では礫浜の波打ち際に生息しています。とても小さなハネカクシで、全体に黄色に近い色をしています。



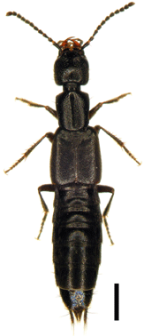
ワカサイソハネカクシHalorhadinus inaequabilis Sawada

 礫浜の波打ち際に生息しています。大顎が大変細長く、歯の形が左右不対象です。近縁種のクロイソハネカクシは山陰では未確認です。



ウミセミゾハネカクシMyrmecopora algarum (Sharp)

 礫浜の波打ち際に生息するハネカクシです。全体に赤い色をしています。



Myrmecopora rufescens (Sharp)

 和名はありません。礫浜の波打ち際に生息するハネカクシです。全体に赤い色をしています。ウミセミゾハネカクシによく似ていますが、一回り小さいです。この2種は同所的に生息しています。



ヒゲナガヒメハネカクシPsammostiba hilleri (Weise)

 ツヤケシヒゲブトハネカクシに似ていますが、触角が長いことが特徴です。



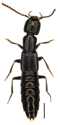
ヒラズイソアリヅカムシPhysoplectus reikoae (K. Sawada)

 潮間帯に生息するアリヅカムシです。礫浜の波打ち際に生息しています。非常に小型で動きが鈍いため、みつけるのがとても難しい種です。


スケールはすべて1mm

前のページにもどる