|
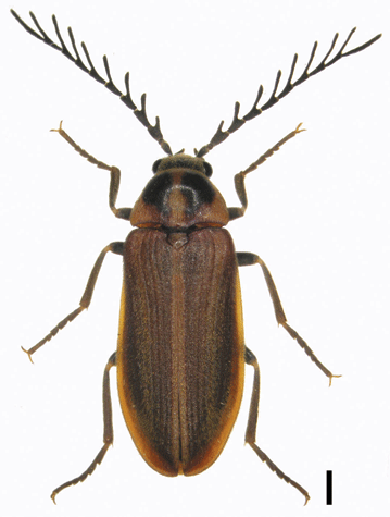
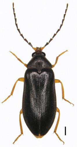
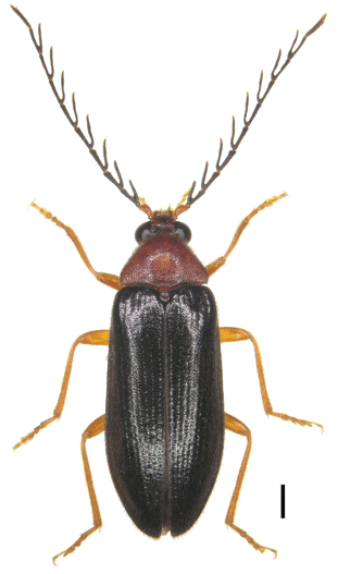
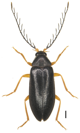
ナガハナノミ科Ptilodactylidaeは,成虫はすべて陸生で,水辺や林縁の植物上などにみられます.幼虫には水生,半水生,陸生(土壌性)がいるようですが,日本産の種の大部分は幼虫が未解明のため,生態もよくわかっていません. 日本産の種については,中根猛彦や佐藤正孝らによって成虫の記載はかなり行われており,おそらく9割以上は解明されていると考えられます. 私がナガハナノミ科に興味をもったきっかけは,渓流でエダヒゲナガハナノミの幼虫を採集したことに始まります.初めてみた幼虫はとても水生昆虫とは思えず,陸生甲虫(ゴミムシダマシ科かなにか)の幼虫がたまたまアミに入ったとしばらく思いこんでいました.また,ヒラタドロムシの幼虫に興味をもち,調べ始めると,以前はヒラタドロムシ科のかなりの種がナガハナノミ科と混同されていたことも知りました.そのため,古いヒラタドロムシの文献を集めると自然にナガハナノミの文献をみることになったのです.さらに日本産のナガハナノミの幼虫は3種しか記載されておらず,ヒラタドロムシと平行して研究が進められそうというのも調べてみようと思った理由の一つです. 日本でナガハナノミに注目している人はごく僅かで,分布記録が多いのも一部の種だけです.ほとんどが日本固有種で地理的変異の大きな種もいますし,幼虫の解明という大きな仕事も残されています.このページをみて一人でも多くの方がこの興味深い甲虫に注目していただければ幸いです. いずれは「日本産ナガハナノミ図鑑」としてこのページを充実したいと思います. ![]() 以下の各属の配列は基本的に「旧北区の甲虫カタログ」(Sato, 2006),和名は「原色日本甲虫図鑑II」(佐藤,1985)に従いました.参考文献はこちら.また,北海道大学の中根猛彦コレクションには日本産ナガハナノミ科のタイプ標本が多く含まれていて,ホームページ(北海道大学 理学研究科 21世紀COEプログラム「新・自然史科学創成」電子博物館)で画像を含めたデータベースが公開されています. ※写真のスケールはすべて1 mmです.なお,このサイトの画像等を作成者に無断で利用することはできません. 保育社の甲虫図鑑にはEpilichas属として掲載されています.私はまだ採集したことがない種で成虫の標本もありません.本種のものと思われる幼虫の標本(山形県産)が手元にあります.幼虫は水生である可能性が高く,ぜひ生態を解明したい種の一つです. 亜種:subsp. usori Nakane, 1958. 体長:10-11 mm(佐藤,1985). 分布:北海道,本州東北部(佐藤,1985). 保育社の甲虫図鑑にはEpilichas属として掲載されています.成虫は,自然林がある山地の沢沿いで6月ごろに出現します(林,2008).成虫の発生場所からみて,幼虫は湿った土壌か朽木の中に生息していると推察されます. 北海道大学の中根コレクションにホロタイプがあり,画像もインターネット上で公開されています. 体長:8-10 mm(佐藤,1985). 分布:本州(中部以西)(佐藤,1985). ![]() 保育社の甲虫図鑑や旧北区のカタログにはEpilichas属として掲載されていますが,近縁のクロツヤヒゲナガハナノミがAnchycteis属に移されているので(Sato, 2006),ここでは同属とみなしました.私はまだ採集したことがなく,手元に標本もありません. 体長:8-9 mm(佐藤,1985). 分布:四国(佐藤,1985). 私はまだ採集したことがない種で成虫の標本もありません.足が黒いことが特徴です. 体長:9-10 mm(佐藤,1985). 分布:本州(関東)(佐藤,1985). ![]() 北海道を除く日本全国に分布し,地理的変異の大きな種としても知られています.基亜種の幼虫は明らかに水生です. 島根県では成虫は6月に出現し,沢沿いの植物上にみられます.また,幼虫は渓流のよどみに生息し,やや有機質な場所を好みます(林,2008). いくつかの亜種は,北海道大学の中根コレクションにホロタイプがあり,画像もインターネット上で公開されています. 亜種:subsp. mutsuensis Nakane(本州北部);subsp. flabellatus(本州,四国);subsp. taniuchensis(九州);subsp. amamianus Nakane(奄美大島);subsp. okinawaensis M. Sato(沖縄島);subsp. tamaii M. Sato(石垣島,西表島). 体長:9-11 mm(佐藤,1985). 分布:本州,四国,九州,琉球(佐藤,1985). ![]() ![]() ![]() ![]() ![]() 実物をみたことがないのですが,記載論文や画像によるとエダヒゲナガハナノミによくにている種のようです. 北海道大学の中根コレクションにホロタイプがあり,画像もインターネット上で公開されています. 体長:7.0-8.1 mm(Nakane, 1985). 分布:九州(Nakane, 1985). 南西諸島に分布し,地理的変異の大きな種としても知られています.南西諸島ではエダヒゲナガハナノミと同所に分布している島がありますが,そのような場所ではヤクヒゲナガハナノミの方が明らかに大型です. 亜種:subsp. yakushimensis Nakane(屋久島);subsp. oshimanus Nakane(奄美大島);subsp. iriomotensis M. Sato(西表島). 体長:11-15 mm(佐藤,1985). 分布:屋久島,琉球(佐藤,1985). ![]() 普通種として,各地の目録にもよく登場します.山陰では6月〜7月に自然林がある山地の沢沿いに成虫が出現します(林,2008).成虫の発生場所からみて,幼虫は湿った土壌か朽木の中に生息していると推察されます. 体長:5.3-6.2 mm(佐藤,1985). 分布:本州,四国,九州(佐藤,1985). ![]() 珍しい種のようで,原記載以外の記録はないようです.北海道大学の中根コレクションにホロタイプがあり,画像もインターネット上で公開されています. 体長:6.5-8.5 mm(佐藤,1985). 分布:本州(近畿)(佐藤,1985). とても少ない種です.Lee et al. (2005) によって,ヒゲナガハナノミ 属Drupeus の幼虫は水生であることが報告されています.本種の幼虫も水生とみられます.この属は個人的にとても関心がありますが,なかなか採集できません.本種も未採集です. 体長:5-6 mm(佐藤,1985). 分布:本州,四国(佐藤,1985). ![]() これも少ない種のですが,ヒメヒゲナガハナノミよりは記録が多い種です.本種も未採集です.屋久島の沢で採集したヒメヒゲナガハナノミ 属Drupeus の幼虫は本種である可能性もあります(林・藤原,2007). 体長:5-6 mm(佐藤,1985). 分布:北海道,本州,四国,九州,屋久島(佐藤,1985). ![]() ![]() 九州の特産種です.本州から,本種あるいはその近縁種とされるものがいくつか報告されていますが,何れも黒色型のヒゲナガハナノミの誤同定とみられます(林,2008).両者はアンテナの節の分岐によって区別できます. 中根(1991)は,亜種として記載したParalichas higoae gyotokui Nakaneを種に昇格させていますが,分ける根拠が明確でないので再検討が必要だと思います. 体長:6.8-7.2 mm(佐藤,1985). 分布:九州(佐藤,1985). ![]() ![]() ヒゲナガハナノミ Paralichas pectinatus (Kiesenwetter) 日本産ナガハナノミの代表的な種です.低地から山地までひろく分布し,成虫も幼虫も湿地や水田に生息しています. 幼虫はすでに記載されています.幼虫の尾端が長い突起になっており,ここを水面から出して呼吸をする様子が観察できます(吉富,1998). 体長:9-10 mm(佐藤,1985). 分布:本州,四国,九州(佐藤,1985). ![]() ![]() ![]() 原記載以外では,林・藤原(2007)の追加記録があるだけです.この記録は台風の洪水で流されてきた個体を河口で採集したもので,実際の生息場所はより上流とみられます.オスのアンテナが「くしひげ状」にならないことが特徴です.生態は,成虫が7月ごろに出現すること以外はまったくわかりません. 体長:約3mm. 分布:屋久島(中根,1993). ![]() 私は屋久島でこの種を採集したことがありますが,かなり多いという印象です.成虫は森林などの植物上に多く,飛翔している個体もいます.水中から本種とみられる幼虫は採集できませんでしたので,陸生の種とみるべきだと考えています.イシガキコヒゲナガハナノミ,コヒゲナガハナノミとの区別は外見では難しいです. 北海道大学の中根コレクションにホロタイプがあり,画像もインターネット上で公開されています. 体長:3.4-4.5 mm(佐藤,1985). 分布:屋久島,琉球(佐藤,1985). ![]() ![]() アマミコヒゲナガハナノミと外見で見分けるのは難しいですが,アンテナの形状に違いがあります.交尾器を検討するのが確実です. 体長:3.8-4.7 mm(佐藤,1985). 分布:石垣島,西表島(佐藤,1985). ![]() 成虫は夏に現れます.山地や丘陵地の森林でスイープやマレーゼトラップで採集しました.灯火にもくるそうです.幼虫は陸生とされています(中根ほか,1975). 体長:3.5-4.7 mm(佐藤,1985). 分布:本州,四国,九州(佐藤,1985). ![]() オオメコヒゲナガハナノミ Ptilodactyla ramea Lewis 私はマレーゼトラップで1個体だけ採集したことがあります.コヒゲナガハナノミと比べて明らかに大型であるという特徴があります.森林性の種と思われます. 北海道大学の中根コレクションにホロタイプがあり,画像もインターネット上で公開されています. 体長:5.2-6.4 mm(佐藤,1985). 分布:本州(佐藤,1985). オオメコヒゲナガハナノミと同様に大型の種です.まだ採集したことがありません. 体長:5.6-6.0 mm(佐藤,1985). 分布:奄美大島,沖縄島(佐藤,1985). 今後,ヒラタドロムシと同様に研究を進めてナガハナノミ科の幼虫を解明したいと思います.そのため,現在,成虫・幼虫の乾燥標本・アルコール漬けサンプルを集めています.特に95-99パーセントのアルコール(エタノール)漬けサンプルがあると,DNAも調べることもできます.産地は問いません.ご協力いただければ幸いです. 連絡・送付先: 〒691-0076 島根県出雲市園町沖の島 1659-5 ホシザキグリーン財団 林 成多 宛 TEL 0853-63-7111; FAX 0853-63-7112; メール: hgf-haya=green-f.or.jp (=に@を入れてください) 作成者:林 成多(ホシザキグリーン財団) Masakazu Hayashi (Hoshizaki Green Foundation) 作成日:2008/2/13 |
